Tentang Kami
Redaksi
Pedoman Media Siber
Kode Etik Jurnalistik
Disclaimer
Info Iklan
Kontak Kami
Current Date:
Kamis, 29 Januari 2026
Home
Nasional
Riil
Finance
Korporasi
Lifestyle
Ragam
More
Galeri Foto
Advertorial
Rekomendasi
Terpopuler
Indeks
Home
Nasional
Riil
Finance
Korporasi
Lifestyle
Ragam
Advertorial
Pilihan Editor
Terpopuler
Indeks
Home
Nasional
Riil
Finance
Korporasi
Lifestyle
Ragam
More
Advertorial
Galeri Foto
Rekomendasi
Terpopuler
Indeks
Terpopuler
Terpopuler
Index
Nasional
Cara Investasi Saham untuk Pemula adalah Langkah Langkah Dan Tips Tips Berinvestasi Untuk Pemula
Rabu, 16 April 2025
Nasional
Doa Niat Puasa Ramadhan adalah Panduan Lengkap untuk Meningkatkan Kualitas Ibadah
Rabu, 16 April 2025
Nasional
Dari Fermentasi ke Farmasi adalah Mengenal Produk Bioteknologi Konvensional
Rabu, 16 April 2025
Nasional
Sisihkan THR Mu, Yuks Berinvestasi, Inilah alasan Mengapa Investasi Saham Menjadi Pilihan Cerdas untuk Masa Depan Keuangan Kamu
Rabu, 16 April 2025
Nasional
Empowering Beliefs Adalah Kunci Kesuksesan dan Kebahagiaan dalam Hidup
Rabu, 16 April 2025
Nasional
Tata Cara Sholat Tarawih adalah Panduan Praktis untuk Ibadah Ramadan
Rabu, 16 April 2025
Nasional
Menilik Hukum Sholat Tarawih adalah Sunnah Muakkadah atau Biasa
Rabu, 16 April 2025
Nasional
Deflasi adalah Fenomena Ekonomi yang Berisiko adalah Penyebab, Dampak, dan Solusi dalam Konteks Perekonomian Indonesia
Rabu, 16 April 2025
Nasional
Aplikasi Investasi Saham Terbaik 2025 adalah Panduan Lengkap untuk Investor
Rabu, 16 April 2025
Nasional
Apa Itu SAP System? Inilah Penjelasan, Fungsi Dan Manfaat, Jenis Dan Juga Tantangan Dalam Implementasi SAP
Rabu, 16 April 2025
Nasional
Google Meet Web adalah Platform Meeting Online yang Efisien dan Berkualitas
Rabu, 16 April 2025
Nasional
Google Spreadsheets Adalah Panduan Lengkap Mengenal dan Menggunakannya
Rabu, 16 April 2025
Riil
Pefindo Tegaskan Peringkat idAA untuk Medco Energi Internasional (MEDC), Prospek Stabil Didukung Diversifikasi Aset dan Pendapatan Gas
Rabu, 16 April 2025
Nasional
Daftar Lengkap Biaya Kursus Mobil Plus SIM di Berbagai Kota
Rabu, 16 April 2025
Nasional
Mengenal Mobil Kecil Toyota, Rekomendasi, hingga Harganya
Rabu, 16 April 2025
2244
2245
2246
2247
2248
Next
Terpopuler
Index
1
Arsenal Libas Kairat, Kai Havertz Kembali Cetak Gol Krusial
2
Pihak Agensi Konfirmasi Kabar Kencan Shin Eun Soo dan Yoo Seon Ho
3
Arsenal Kantongi Rp1 Triliun Usai Sapu Bersih Liga Champions
4
Gisel Beri Klarifikasi Penampilan Berisi Dalam Film Horor Terbaru Balas Budi
5
Kostas Tsimikas Tegaskan Setia di Roma di Tengah Rumor Liverpool
Terkini
Index
Pemerintah Resmi Cairkan Bansos PKH dan BPNT Tahap Pertama Mulai Januari 2026
29 Januari 2026
Ketahui Kriteria Terbaru Dan Aturan Kuota Penerima Bantuan BPNT 2026
29 Januari 2026
Prakiraan Cuaca Jabodetabek Hari Ini BMKG Prediksi Hujan Ringan Bakal Terjadi Merata
29 Januari 2026
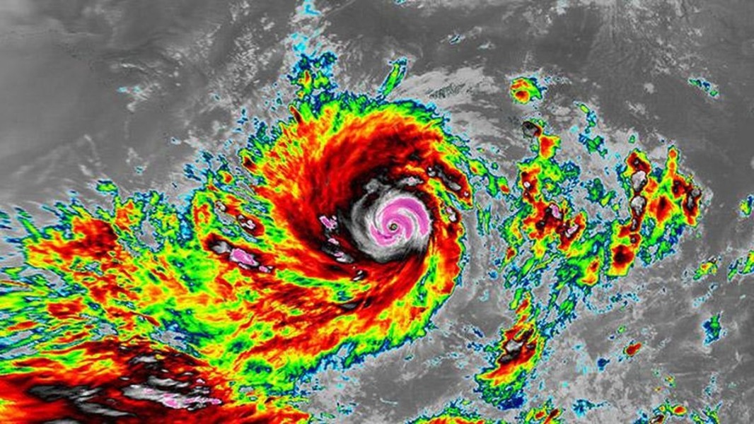
Peringatan Dini BMKG: Bibit Siklon 98S Picu Cuaca Ekstrem di 5 Provinsi
29 Januari 2026
LPS Putuskan Tahan Tingkat Bunga Penjaminan demi Stabilitas Perbankan
29 Januari 2026